Login
Menu
Nyheder
Salgsheste
E-magasin
Magasin
Nyheder
Foto
Salgsheste
Udstyr
Shop
Login
Menu
Magasinet Ridehesten
E-magasin
Nyheder
Fotos
Fotografer
Køb og salg af heste
Køb og salg af udstyr
Stalde og stutterier
Shop
Blog
Kurser
Podcasts
Annoncering
Få en hjemmeside
Handelsbetingelser
Kontakt
Mangler du en hjemmeside?
Lad vores webafdeling lave din hjemmeside.
Mangler du markedsføring?
Vores grafiske team står klar til at hjælpe dig.
Har du en hund?
Så er vores hundeportal et besøg værd
< Tilbage
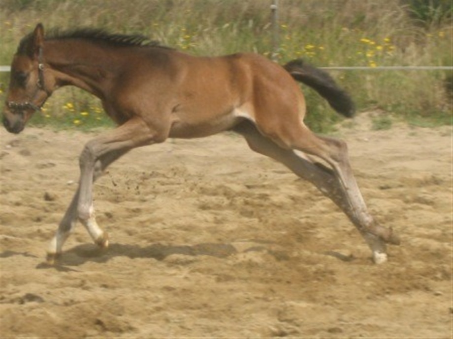
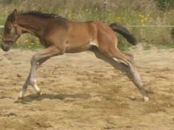
Graversgaards Zena
Race:
Dansk varmblod
Fødselsdato:
08-05-2008
Far:
Zardin Firfod
Mor:
Fame
Morfar:
Loutanos Orion
Opdrætter:
Stutteri Graversgaard
Ejer:
Stutteri Graversgaard
Hjemmeside:
http://www.stutteri-graversgaard.dk
Kommentar:
Smuk lille pige
Muligheder
Udskriv
Del denne annonce på
< Tilbage