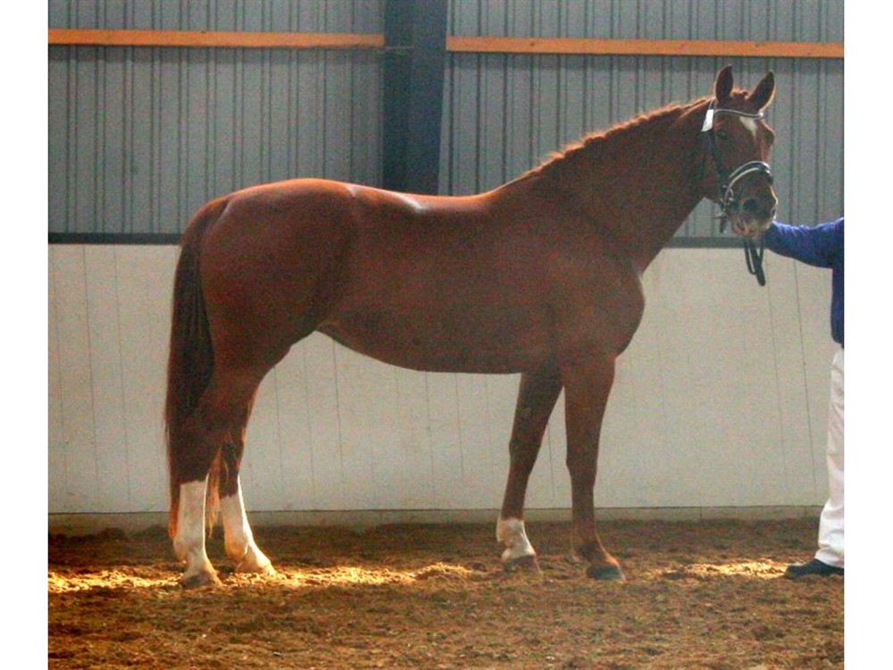
Lillegaards Armani

Alder: 1 år
Stangmål: 168 cm
Race: Frederiksborg
Køn: Hingst
Prisniveau 20 - 30.000 DKK
Far: Aschlan enghaven FF: JUVEL TÅGERUP (FRH 739) FFF: SEBASTIAN SKOVAGERHØJ (FRH 705)
FFM: SØKILDENS KIMI (FR 8056)
FM: LYSHØJGAARDS CHERI (FR 8277) FMF: OPAL (9202074)
FMM: LADY TORP (FR 8003)
Mor: Thusgårds Cassiopeia MF: ELSTEDGAARDS BOLERO (FRH 749) MFF: SÆDDINGS BRUTUS (EFRH 737)
MFM: LUNA NÆSDAL (FR 8199)
MM: GRETHE KOLBE (FR 8445) MMF: JUVEL TÅGERUP (FRH 739)
MMM: MILLE (FR 7899)

Muligheder

Udskriv
Tilføj favorit

Sælgers kommentarer

Lillegaards Armani

Hingst på 1 år ( født 2024 ) efter Thusgårds Cassiopeia som er kåret i 1 klasse med følgende karakter: 887858878 8

Far : Aschlan Enghaven som er kåret 1 klasse med 9998 78 788 og 9 i helhed samt 9 i temperament 9 i træningskarakter 9 i opførsel til stationsafprøvning



Armani er en stor dreng på pt 154 stg. Han er super nem i håndtering. Har et skønt temperament. Han følger en overalt. Han er velgående og har stort potentiale.
Stangmål er sat, men tænker han bliver en stor dreng flere søskende på over 170+

Pris 30.000 kr.

Sælgers informationer

Firma: Lillegaards Frederiksborgstutteri | Vis på kort
Navn: Malene Svendsen
Adresse: jernbanevej 14
Postnr.: 4913
By: Horslunde
Land: Danmark
Telefon: 53464323
E-mail: Ms2212@live.dk

Opstaldningsadresse

Postnr.: 4913
By: Horslunde
Land: Danmark