Første hoppe udtaget til eliteskuet

09-04-2013 09:03
Avl

Ved Dansk Varmblods afsluttende stationsafprøvning for hopper på Frederiksværk Rideklub i sidste uge blev en hoppe udtaget til eliteskuet i september

Det var et lille hold hopper, der stillede til stationsprøveafslutning på Frederiksværk Rideklub onsdag den 3. april. På trods heraf var hopperne fordelt på fire hold, idet der blandt både spring- og dressurhopperne var forædlede hopper.

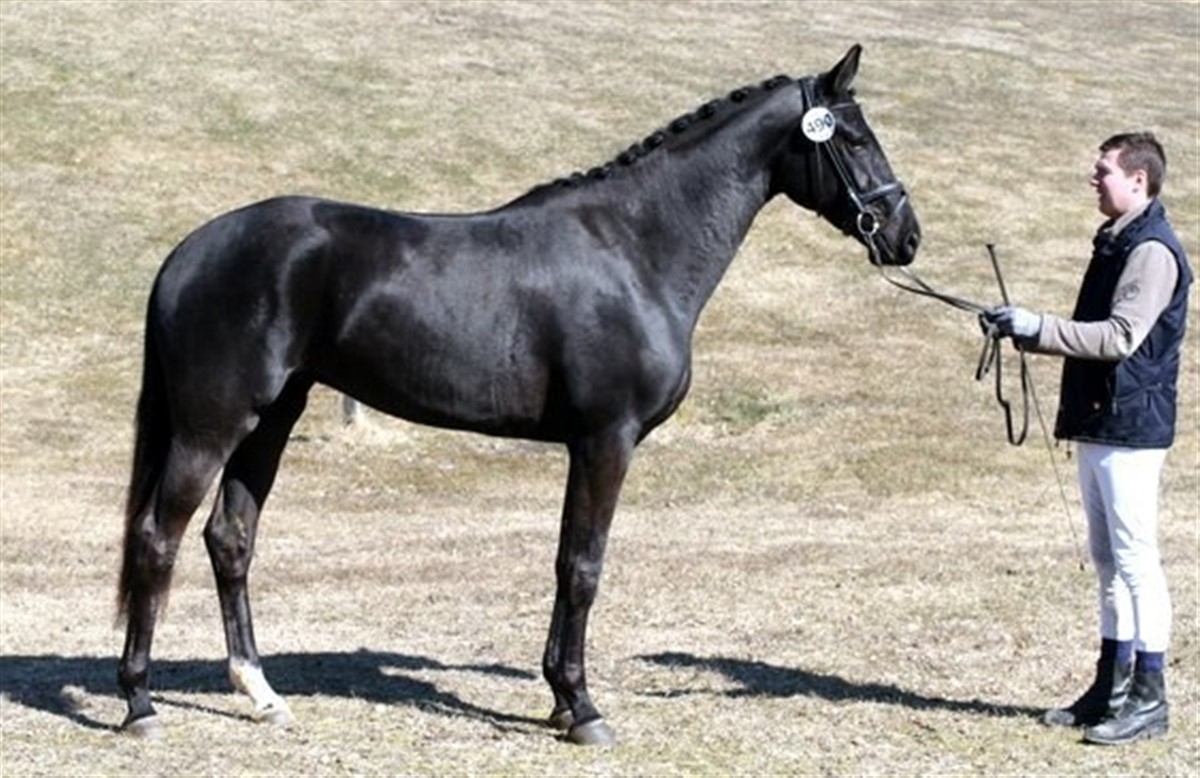
Det var endnu engang et flot klargøringsarbejde af Karin Nissen og hendes dygtige beriderelever. Dommerne gav udtryk for, at det var hopper af høj kvalitet, hvilket udmøntede sig i, at alle fem hopper opnåede kåring i RDH. En enkelt hoppe blev udtaget til Eliteskuet:

Valløs Miss Doolittle 208333DW1001355
F: Dr. Doolittle DE331310826599
M: Moonlight Damgaard EDH 5884
MF: Blue Hors Romancier DVE 551
Født hos og ejet af Fam. Worre-Jensen, Køge.
 

Annika Knudsen Lorentsen

Har du en nyhed eller god historie?

Kontakt Annika Knudsen Lorentsen